Vụ việc xảy ra ở TP Kolkata, bang West Bengal, Ấn Độ. Một người mẹ đã vô tình cướp đi mạng sống con gái 3 tuổi của mình khi đẩy con trở thành "búp bê tà thuật".
Đứa trẻ đáng thương được đưa vào bệnh viện địa phương trong tình trạng nguy kịch vào ngày 15/7 vừa qua.
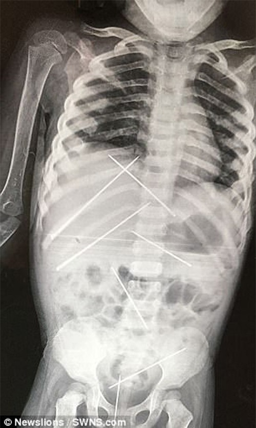
Tại đây, các bác sĩ phát hiện bé bị đâm kim lên nhiều vùng trên cơ thể, trong đó có cả tổn thương vùng kín, India Today đưa tin.

Mẹ của đứa trẻ vội đưa con đến bệnh viện nhưng con đã tử vong.

"Có tất cả 7 chiếc kim nằm trong cơ thể bé. Thế nhưng những chiếc kim này không thể lấy ra được vì có thể gây ra cho bé thêm nhiều tổn thương. Bé cần được theo dõi thêm", sau khi thăm khám ban đầu các bác sĩ đã đưa ra kết luận.
Việc bạo hành trẻ chỉ được đưa ra ánh sáng khi mẹ bé đưa con đến bệnh viện đại học Y Bankura. Lúc này bé gái có hiện tượng sốt cao.
Sau 3 ngày, vào ngày 18/7, các bác sĩ mới lấy được hết số kim trong người bé gái. Tuy nhiên, bé cũng đã tử vong ngay sau đó.
Ngày 28/7, bệnh viện thông báo, đứa trẻ đã qua đời do nhiễm trùng huyết và viêm phổi.

7 chiếc kim được lấy ra.
Theo thông tin của cảnh sát, "thầy bùa" này là Sanatan Thakur, một người đàn ông khoảng 50 tuổi chuyên thực hiện các nghi lễ tà thuật, ma thuật đen.
Hiện Sanatan đang chạy trốn và cảnh sát vẫn tích cực truy lùng.