Thông tin từ Bệnh viện Nhi Đồng 2, TPHCM cho biết, tại đây vừa tiếp nhận, can thiệp cho một trường hợp có cục sỏi rất lớn ở bàng quang. Bệnh nhân là cậu bé N.V.M. (15 tuổi) được người nhà chuyển đến bệnh viện cấp cứu và nhập khoa Niệu trong tình trạng tiểu rặn, đau, kèm theo sốt. Tiền căn bệnh nhi này từng bị nhiễm trùng tiểu nhiều lần phải nhập viện điều trị. Và bé cũng đã từng phải phẫu thuật 2 lần lấy sỏi kích thước lớn ở bàng quang.

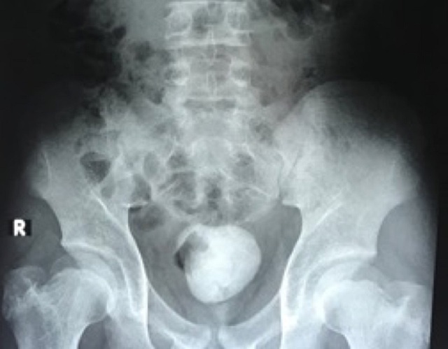
Hình ảnh X-quang cho thấy viêm sỏi bệnh nhân to nằm ở bàng quang.
Tương tự ở lần này, các xét nghiệm và kết quả khảo sát hình ảnh cho thấy bệnh nhi bị sỏi bàng quang tái phát với kích thước lớn khoảng 10cm.
Các bác sĩ Bệnh viện Nhi Đồng 2, TP.HCM đánh giá đây là nguyên nhân khiến cho em tiểu khó, tiểu đau, thậm chí gây bí tiểu do sỏi che lấp cổ bàng quang và niệu đạo khiến nước tiểu không thoát ra ngoài được. Nước tiểu ứ đọng trong bàng quang tạo điều kiện cho vi trùng phát triển gây nên tình trạng nhiễm trùng đường tiểu.
Bệnh nhi được tiến hành đặt thông tiểu để nước tiểu thoát ra tạm thời và tiêm kháng sinh tĩnh mạch để điều trị nhiễm trùng tiểu. Sau khi tình trạng nhiễm trùng ổn bé sẽ được tiến hành lấy sỏi bàng quang.

Các bác sĩ tiến hành nội soi lấy sỏi ra khỏi bàng quang.
Với kích thước 10cm của viên sỏi, việc tán sỏi bằng laser ít xâm lấn qua ngã niệu đạo – bàng quang hầu như không thể thực hiện được. Do đó, phương án mở bàng quang lấy sỏi là lựa chọn duy nhất. Tuy nhiên với phương pháp mổ mở thông thường (rạch da bụng, tách cân cơ và mở bàng quang ngoài phúc mạc) sẽ gặp khó khăn với các vết sẹo cũ trên bụng bệnh nhi từ các lần mổ trước để lại.
Nó làm cho các tổ chức mô cơ thể dính chặt vào nhau gây khó khăn trong việc phẫu tách và mất máu nhiều trước khi tiếp cận được bàng quang. Đồng thời tăng nguy cơ nhiễm trùng và chậm lành vết thương sau phẫu thuật. Việc áp dụng kỹ thuật mổ nội soi lấy sỏi bàng quang trong phúc mạc sẽ tránh được những nguy cơ này.
Bệnh nhi được gây mê toàn thân, dụng cụ nội soi sẽ được đưa vào khoang phúc mạc (ổ bụng) thông qua 3 vết rạch nhỏ ở bụng. Bàng quang sẽ được tiếp cận dễ dàng trong ổ bụng. Sau đó phẫu thuật viên tiến hành mở bàng quang lấy sỏi cho vào túi biệt lập để đưa ra ngoài.
TS.BS Phạm Ngọc Thạch, Phó Giám Đốc phụ trách khối Ngoại Bệnh viện Nhi Đồng 2 cho biết, phương pháp mổ nội soi lấy sỏi bàng quang trong phúc mạc là một kỹ thuật mới được áp dụng tại Bệnh viện Nhi Đồng 2. Với các vết mổ nội soi có kích thước nhỏ giúp bệnh nhân ít đau sau mổ, vết thương lành nhanh và sớm hồi phục sau mổ.
Đặc biệt trong trường hợp này, nội soi ổ bụng giúp tránh được các nguy cơ từ vết mổ cũ trên bệnh nhân đã được mổ mở nhiều lần trước đó. Nó cũng phù hợp với xu hướng phát triển phẫu thuật của thế giới là "phẫu thuật xâm lấn tối thiểu".
Theo Báo dân sinh
