Mới đây, trên mạng xã hội xuất hiện một câu chuyện thu hút sự chú ý của mọi người. Cụ thể, cô gái được một người anh tên là V.L mời đến dự khai trương quán kiểu Nhật mới góp vốn để mở. Cô nàng nhiệt tình tham dự và mời cả bạn đến ủng hộ.
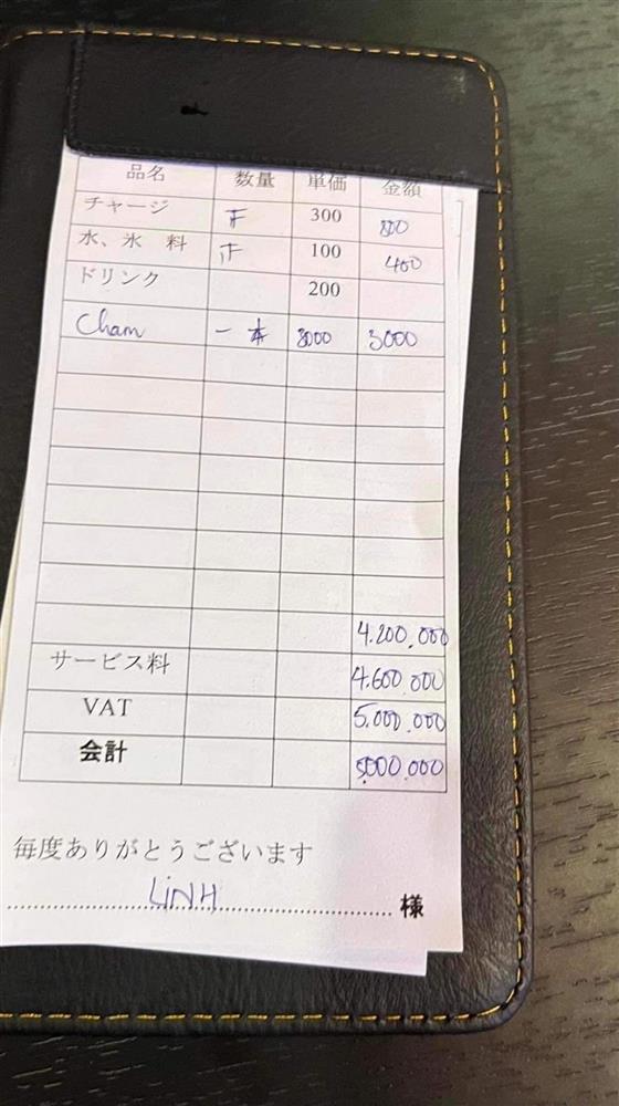
Tới nơi, nhóm bạn trẻ được chủ quán sắp xếp cho vào một phòng riêng được giới thiệu và phòng hát theo kiểu Nhật. Tại đây, nhân viên phục vụ có giới thiệu chương trình giảm giá 40% tất cả các dịch vụ trong quán, nhóm bạn trẻ mới "tất tay" ủng hộ chủ quán chai rượu champagne với giá 2,8 triệu đồng.
Ngồi chưa đầy 10 phút thì bạn gái của chủ quán lên ngồi chung mang thêm 4 cốc nước lọc đá mời nhóm thanh niên. "Nhắc lại là bạn gái anh ấy tự gọi chứ bọn em không gọi! Một lúc sau thì cả anh lên ngồi uống cùng với bọn em, chai Sâm Panh anh chị rót ra đầy cả cốc để uống trong khi bọn em mới dám nhấp môi! Rồi chai Sâm Panh bọn em gọi 2 anh chị uống hết nửa chai".


Ngồi chưa đầy 20 phút nhóm bạn trẻ ra về và không quên dặn chủ quán gửi hóa đơn kèm số tài khoản để thanh toán. Tuy nhiên đến lúc nhận được thanh toán, cô gái "đứng hình" trước mức giá cực "chát" của các dịch vụ nhóm họ đã sử dụng.




Dù không yêu cầu ngồi phòng riêng nhưng nhóm bạn trẻ vẫn bị tính phí 300.000 đồng một người. Chai champagne cũng chẳng được giảm giá 40% như nhân viên đã tư vấn. Lý giải về vụ việc này, chủ quán cho biết quán chỉ giảm giá cho cocktail chứ không giảm giá rượu.
Đáng chú ý, 4 ly nước lọc mà nhóm bạn được mời uống có giá 100.000 đồng một ly.
"Em đưa Bill cho bạn bè đi cùng thì ai cũng phát dồ lên vì chính anh V.L mời bọn em đến dự khai trương cơ mà. Thảo nào mà anh giục từ lúc 8h xem đã đến chưa, đến quán không có chỗ gửi xe còn phải đi chỗ khác gửi mất 50k nữa chứ!
Trần đời em chưa thấy một quả mời khai trương nào đặc biệt thế này luôn. Làm ăn mà lại mời bạn đến dự khai trương rồi dí cho bạn cái bill 5 triệu thì em cũng xin là xin vĩnh biệt anh luôn nhé", cô gái chia sẻ.
Sau cùng, cô gái đã nhắn tin tuyên bố cắt đứt quan hệ bạn bè với chủ quán và không bao giờ tới quán nữa. Tuy nhiên, cô chỉ nhận được câu trả lời "lúc khác anh với em nói chuyện sau" rồi sau đó chỉ xem tin nhắn chứ không trả lời.
Bài viết thu hút sự chú ý của dân mạng, nhiều người còn để lại bình luận bức xúc trước thái độ của nhà hàng.
- Nước lọc 100k, lọc luôn tình anh em, lọc luôn anh ra khỏi list friend của em.
- U là trời nó rủ qua không nó tính tiền kiểu vậy khác gì dụ qua để chém tiền. Lợi dụng người quen để chém ai ngờ bạn này thẳng tính nói luôn.
Theo Pháp luật và bạn đọc
