Đây là những từ khóa được thế giới tìm kiếm nhiều nhất trong 10 năm qua, bao gồm những sự kiện và nhân vật có tầm ảnh hưởng lớn.

Chatroulette là từ khóa được tìm kiếm nhiều nhất năm 2010. Đây là dịch vụ trò chuyện trực tuyến sẽ ghép cặp 2 người dùng ngẫu nhiên để họ nói chuyện với nhau qua webcam. Từ khóa iPad cũng được tìm kiếm rất nhiều bên cạnh Justin Bieber, Nicki Minaj hay Katy Perry - những nghệ sĩ nổi tiếng của Mỹ. Ảnh: Ghadash's Blog.

Năm 2011, Casey Anthony trở thành tâm điểm chỉ trích với cáo buộc giết chết Caylee, cô con ruột mới 2 tuổi. Vụ án được rất nhiều người quan tâm, các phiên tòa được truyền hình trực tiếp khắp nước Mỹ. Cuối cùng, phán quyết Casey vô tội của bồi thẩm đoàn gây ra làn sóng phản ứng dữ dội. Ảnh: Fox News.

2011 cũng là năm chứng kiến mạng xã hội ảnh Pinterest trở nên phổ biến, bão Irene tấn công vùng biển Caribbean và một phần nước Mỹ khiến hàng chục người thiệt mạng, cựu CEO Apple Steve Jobs qua đời. 10 từ khóa được tìm kiếm nhiều nhất năm 2011 gồm Casey Anthony, Do a barrel roll, Let it snow, Steve Jobs, Pinterest, Ryan Dunn, iPhone 5, Amy Winehouse, Hurricane Irene và Osama Bin Laden. Ảnh: America Magazine.

"Nữ hoàng nhạc Pop" Whitney Houston qua đời năm 2012 ở tuổi 48. Bà đã thắng 6 giải Grammy trên 25 lần đề cử, là một trong những nghệ sĩ có doanh thu đĩa đơn cao nhất mọi thời đại. Cái chết của Houston khiến nhiều khán giả tiếc nuối. Ảnh: Billboard.

Cũng trong năm 2012, ca khúc Gangnam Style của PSY trở thành hiện tượng toàn cầu, chiếc iPad 3 được Apple ra đời với màn hình Retina sắc nét, Thế vận hội (Olympic) khai mạc tại London (Anh). Các từ khóa được tìm kiếm nhiều nhất 2012 gồm Whitney Houston, Gangnam Style, Hurricane Standy, iPad 3, Diablo 3, Kate Middleton, Olympics 2012, Amanda Todd, Michael Clarke Duncan và BBB12. Ảnh: officialpsy/YouTube.


Năm 2013 chứng kiến sự ra đi của Paul Walker, diễn viên thủ vai Brian O'Conner trong loạt phim Fast and Furious vì tai nạn xe. Cựu Tổng thống Nam Phi Nelson Mandela - biểu tượng của phong trào đấu tranh chống phân biệt chủng tộc cũng qua đời vào cuối năm ở tuổi 95. Ảnh: Getty Images.

Trong năm 2013, Cory Monteith, ngôi sao trẻ nổi lên từ loạt phim Glee cũng qua đời vì dùng thuốc quá liều, Sony ra mắt hệ máy chơi game PlayStation 4 còn Samsung ra mắt mẫu smartphone cao cấp Galaxy S4. Kết thúc năm 2013, 10 từ khóa được tìm kiếm nhiều nhất là Nelson Mandela, Paul Walker, iPhone 5s, Cory Monteith, Harlem Shake, Boston Marathon, Royal Baby, Samsung Galaxy S4, PlayStation 4 và North Korea. Ảnh: Reuters.

Nam diễn viên hài từng đoạt giải Oscar Robin Williams tự sát vào tháng 8/2014, hưởng thọ 63 tuổi sau một thời gian mắc bệnh trầm cảm và mất trí nhớ. Williams đóng vai chính trong các bộ phim như Dead Poets Society (Hội cố thi nhân), Good Will Hunting (chàng Will tốt bụng) và Aladdin. Đây là cụm từ được thế giới tìm kiếm nhiều nhất trên Google năm 2014. Ảnh: The Daily Beast.

Năm 2014 cũng nổi lên phong trào dội nước đá (Ice bucket challenge) trong khi trò chơi Flappy Bird của Nguyễn Hà Đông trở thành hiện tượng, dịch bệnh Ebola hoành hành ở nhiều nơi trên thế giới, chiếc máy may của hãng Malaysia Airlines mất tích một cách bí ẩn. Các từ khóa được tìm kiếm nhiều nhất 2014 gồm Robin Williams, World Cup, Ebola, Malaysia Airlines, ALS ice bucket challenge, Flappy Bird, Conchita Wurst, ISIS, Frozen và Sochi Olympics. Ảnh: Techinasia.

Lamar Odom là từ khóa được tìm kiếm nhiều nhất 2015. Cầu thủ bóng rổ từng 2 lần vô địch giải NBA nhập viện sau khi bị phát hiện bất tỉnh trong một nhà thổ ở Nevada. Khi đó, vợ của Odom là ngôi sao Khloe Kardashian, cả 2 ly dị sau đó một năm. Ảnh: CNN.

Trong năm 2015, cuộc khủng bố kinh hoàng tại Paris đã giết chết 130 người, bị thương hơn 400 người. Vụ nổ súng ở tòa soạn tạp chí châm biếm Charlie Hebdo cũng là chủ đề được rất nhiều người quan tâm. Trò chơi Agar.io bất ngờ nổi tiếng sau khi được chơi bởi nhân vật Frank Underwood trong phim Sóng gió chính trường. Các từ khóa được tìm kiếm nhiều nhất 2015 gồm Lamar Odom, Charlie Hebdo, Agar.io, Jurassic World, Paris, Furious 7, Fallout 4, Ronda Rousey, Caitlyn Jenner và American Sniper. Ảnh: Wbur.org.

Tựa game Pokemon Go phát hành tháng 7/2016 nhanh chóng trở thành cơn sốt với cách chơi mới lạ, thú vị dù gây ra nhiều phiền phức khiến nhà chức trách vào cuộc. Đây là từ khóa được "Google" nhiều nhất năm 2016. Ảnh: YouTube.

Cũng trong năm 2016, một phiên bản của trò rắn săn mồi Snake tên Slither.io vươn lên đứng đầu bảng xếp hạng App Store, trò xổ số Powerball của Mỹ tìm được 3 chủ nhân thắng giải độc đắc kỷ lục 1,6 tỷ USD. Các từ khóa được tìm kiếm nhiều nhất năm gồm Pokemon Go, iPhone 7, Donald Trump, Prince, Powerball, David Bowie, Deadpool, Olympics, Slither.io và Suicide Squad. Ảnh: WAFF.

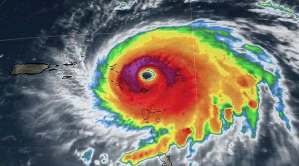
Irma - từ khóa được tìm kiếm nhiều nhất 2017, là cơn bão mạnh nhất từng ghi nhận tại khu vực Đại Tây Dương. Bão Irma quét qua vùng Vịnh Mexico và biển Caribbean năm 2017 với sức gió gần 300 km/h, duy trì trong 37 giờ liên tục. Ảnh: NBC.

Fidget Spinner - một món đồ chơi xả stress cũng là sản phẩm làm mưa làm gió. iPhone 8, iPhone X hay Đội tuyển cricket Ấn Độ cũng là các chủ đề được quan tâm nhiều nhất 2017. Top 10 từ khóa được tìm nhiều nhất trong năm gồm Hurricane Irma, iPhone 8, iPhone X, Matt Lauer, Meghan Markle, 13 Reasons Why, Tom Petty, Fidget Spinner, Chester Bennington và India National Cricket Team. Ảnh: The Verge.

World Cup là từ khóa được tìm kiếm nhiều nhất 2018. Giải đấu tại Nga chứng kiến đội tuyển Pháp có lần thứ 2 lên ngôi sau 20 năm chờ đợi. Kỳ World Cup lần thứ 21 cũng được đánh giá là thành công nhất lịch sử. Ảnh: New York Times.

Thế giới năm 2018 cũng tạm biệt DJ nổi tiếng Avicii, nhà thiết kế thời trang Kate Spade, đầu bếp nổi tiếng Anthony Bourdain từng ghé thăm Việt Nam (ảnh) và nhà khoa học Stephen Hawking. Các từ khóa được tìm kiếm nhiều nhất 2018 gồm World Cup, Avicii, Mac Miller, Stan Lee, Black Panther, Meghan Markle, Anthony Bourdain, XXXTentaction, Stephen Hawking và Kate Spade. Ảnh: CNN.

Năm 2019, từ khóa được tìm kiếm nhiều nhất là India vs South Africa, cụm từ khá xa lạ chỉ trận đấu giữa Ấn Độ và Nam Phi tại Giải Vô địch Cricket Thế giới. Cả 2 là những nước hâm mộ cuồng nhiệt môn cricket. Ảnh: Hindustan Times.

Cũng trong năm 2019, ngôi sao Disney Cameron Boyce qua đời ở tuổi 20 vì động kinh, mùa cuối của series phim Trò chơi vương quyền (Game of Thrones) chiếu trên HBO là những chủ đề rất được quan tâm. 10 từ khóa được tìm kiếm nhiều nhất của năm gồm India vs South Africa, Cameron Boyce, Copa America, Bangladesh vs India, iPhone 11, Game of Thrones, Avengers: Endgame, Joker, Notre Dame và ICC Cricket World Cup. Ảnh: AP.
Theo Zing
