
Chuyên gia Jeff Masters trang thời tiết Wunderground.com tại Mỹ cảnh báo: “Nếu siêu bão
Yolanda (tên quốc tế là Haiyan) tiếp tục mạnh lên sau khi tiến vào Biển Đông, nó có thể trở
thành cơn bão mạnh nhất trong lịch sử”. Sức gió mạnh nhất ở tâm bão có thể lên tới 379
km/h. Ảnh: AFP.


Vệ tinh nhân tạo chụp cảnh siêu bão di chuyển Haiyan và sức tàn phá của nó khi bắt đầu tiếp
cận lãnh thổ Philippines. Ảnh: AP.


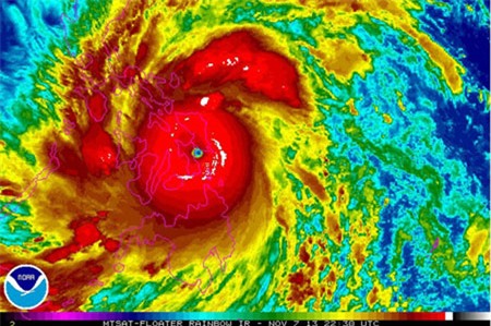
Cận cảnh sức tàn phá của cơn bão. Là một trong những siêu bão mạnh nhất trong
lịch sử, phần mắt bão hiện ra rất rõ từ bên ngoài không gian. Ảnh: AP.


Bức ảnh vệ tinh mô phỏng nơi cơn bão xuất hiện và đường đi của nó. Ảnh: Static.us.


Các chuyên gia khí tượng dự đoán đường đi của bão Haiyan trong những ngày sắp tới. Sau
khi vượt qua Philipines, siêu bão Haiyan sẽ tiến vào Biển Đông hôm thứ 7, đổ bộ miền trung
Việt Nam trong ngày chủ nhật trước khi suy yếu và tan trong đất liền. Ảnh: Accuweather.com.


Sức tàn phá của siêu bão Haiyan sau khi quét qua Philippines và tiến vào Biển Đông.
Ảnh: QZ.com.
Theo Hồng Duy (Zing.vn/Tri Thức)