Cơn bão Haiyan được đánh giá mạnh nhất thế giới trong năm nay đang đổ bộ vào Philippines, khiến chính quyền phải sơ tán người dân, đóng cửa trường học và hủy nhiều chuyến bay.
![]() |
|
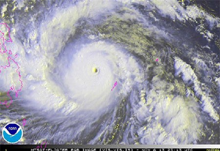
Ảnh vệ tinh siêu bão Haiyan sắp đổ bộ vào Phillippines. Ảnh: NOAA |
Theo AFP, siêu bão Haiyan di chuyển với sức gió mạnh trung bình 330 km/h và sẽ đổ bộ vào địa phận Philippines vào sáng mai. Trung tâm Cảnh báo Bão của Hải quân Mỹ cho biết tính đến chiều nay, siêu bão Haiyan được coi là mạnh nhất thế giới trong năm.
Siêu bão được dự đoán sẽ đổ bộ vào đảo Samar, nằm cách thủ đô Manila 600 km về phía đông nam, sau đó di chuyển về vùng trung và nam Phillippines và tiến vào Biển Đông trong ngày 9/11.
Gần 16 triệu người trong đó hơn 12 triệu dân Philippines đang gặp nguy hiểm khi bão Haiyan tấn công. Sau khi quét qua địa phận Phillipines và Biển Đông, siêu bão dược dự đoán cũng sẽ đổ bộ vào Lào và Việt Nam vào ngày 10/11.
Glaize Escullar, chuyên gia dự báo thời tiết quốc gia Philippines, cho biết bão Haiyan sẽ tấn công các khu vực vẫn đang khắc phục hậu quả của cơn bão năm 2011 và trận động đất 7,1 độ Richter mới xảy ra tháng trước. Trong đó bao gồm tỉnh Bohol, tâm chấn của trận động đất khiến 222 người thiệt mạng, và là nơi trú ngụ của 5.000 người trong những lều trại tạm bợ.
Các khu vực khác cũng sẽ chịu ảnh hưởng của siêu bão bao gồm các thành phố cảng Cagayan de Oro và Iligan, nơi lũ quét của cơn bão nhiệt đới Washi tháng 12/2011 đã làm hơn 1.000 người thiệt mạng.
Công tác sơ tán đang diễn ra ở nhiều thị trấn và làng mạc nằm trong phạm vi cơn bão đi qua, nhiều trường học đã đóng cửa, các chuyến phà và tàu thuyền đều ngưng hoạt động để đảm bảo tính mạng cho người dân. Các hãng hàng không thông báo hoãn hàng trăm chuyến bay nội địa và quốc tế.
Tổng thống Benigno Aquino ra lời kêu gọi người dân thực hiện công tác chuẩn bị kỹ lưỡng nhất có thể để đối phó với siêu bão.
