Chủ đề

siêu bão

siêu bão

Người dân Macau đổ xô xuống đường bắt cá sau bão Ragasa

Việc đường phố ở Macau (Trung Quốc) bị ngập sâu vì bão Ragasa đã tạo cơ hội cho rất nhiều người trở thành ngư dân bất đắc dĩ.

Chùm ảnh thành phố ven biển Trung Quốc hứng chịu sức tàn phá của bão Ragasa

Truyền thông Trung Quốc đưa tin, bão Ragasa chiều 24/9 đã đổ bộ vào thành phố Dương Giang thuộc tỉnh Quảng Đông ở miền nam nước này.

Bão Ragasa: Có uẩn khúc sau thảm họa vỡ hồ chắn, nước lũ ồ ạt ở Đài Loan - Trung Quốc?

Giới chuyên gia cáo buộc chính quyền huyện Hoa Liên, Đài Loan - Trung Quốc tắc trách trong công tác sơ tán, dẫn đến cái chết của 14 người.

Cụ bà 87 tuổi bị bùn lũ vùi lấp trong căn nhà cấp 4, con gái nói điều xót xa

Một cụ bà 87 tuổi bị mắc kẹt trong căn nhà cấp 4, tử vong thương tâm giữa dòng bùn lũ. Người con gái nghẹn ngào chia sẻ: “Mọi thứ đều mất hết, dù đau đớn nhưng điều được an ủi là thi thể mẹ tôi chưa bị cuốn trôi”.

CLIP: Nước biển tràn vào sảnh khách sạn Hồng Kông - Trung Quốc, siêu bão Ragasa nối dài vệt tàn phá

Trưa 24-9, siêu bão Ragasa đang áp sát bờ biển tỉnh Quảng Đông - Trung Quốc, khiến sóng mạnh ập vào nhiều khu vực.

Siêu bão Ragasa tàn phá nặng nề, hàng chục người thương vong ở Đài Loan

Hoàn lưu của siêu bão Ragasa đã gây ra tổn thất nặng nề, khiến ít nhất 14 người thiệt mạng và 34 người khác bị thương tại một thị trấn ở huyện Hoa Liên, Đài Loan (Trung Quốc).

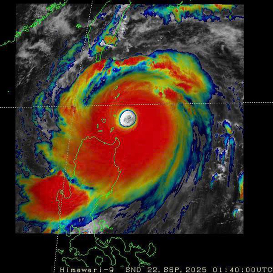
Hình ảnh mắt siêu bão Ragasa chụp từ phi cơ

Truyền thông Trung Quốc sáng nay (24/9) đã công bố đoạn video ghi lại một phần của mắt siêu bão Ragasa được chụp từ phi cơ chuyên dụng.

Siêu bão Ragasa: Sóng lớn "quất" Hồng Kông, hàng loạt thành phố Trung Quốc "nín thở"

Hồng Kông (Trung Quốc) đã nâng cảnh báo bão lên mức cao nhất vào rạng sáng 24-9 khi miền Nam Trung Quốc chuẩn bị ứng phó siêu bão Ragasa.

CLIP: Kinh hoàng nước lũ vỡ bờ giật sập cầu ở Đài Loan - Trung Quốc

Một hồ nước vỡ bờ làm gãy cả cầu và ngập lụt một ngôi làng ở Hoa Liên, Đài Loan - Trung Quốc hôm 23-9, khi siêu bão Ragasa đang hướng tới.

Bão Ragasa càn quét Biển Đông: 3 người chết, nhân chứng mô tả 'như ngày tận thế'

Hàng nghìn người tìm nơi trú ẩn ở Phlippines và Trung Quốc khi bão Ragasa đổ bộ, gây mưa lớn và nguy cơ sạt lở đất.

Siêu bão Ragasa sắp đổ bộ: Người Hong Kong “dọn sạch” siêu thị, “đông hơn Tết”

Khi siêu bão Ragasa tiến đến gần, người dân ở Hong Kong (Trung Quốc) đã vội vã đi mua rất nhiều nhu yếu phẩm, tạo ra những khung cảnh được gọi là “chưa từng có tiền lệ” ở các chợ và siêu thị.

Video gió mạnh do ảnh hưởng bão Ragasa hất ngã người đi đường ở Philippines

Bão Ragasa (ở nước ta gọi là bão số 9, ở Philippines gọi là bão Nando) đã đổ bộ Philippines. Ở một thành phố cách nơi bão đổ bộ đến gần 500 km mà vẫn có gió mạnh do ảnh hưởng của bão, đến nỗi người đi đường bị hất ngã văng.

Mắt siêu bão Ragasa nhìn từ vũ trụ: Hình ảnh khiến cả thế giới lo lắng

Siêu bão Ragasa, cơn bão mạnh nhất năm nay, đang di chuyển qua phía Bắc Philippines, hướng về phía Nam Trung Quốc, gây ra gió giật và sóng lớn.

Trung Quốc sơ tán 400.000 người trước siêu bão Ragasa

Trung Quốc sơ tán hơn 400.000 người, trong khi Hong Kong áp dụng các biện pháp khẩn cấp để ứng phó với siêu bão Ragasa cũng như đưa ra cảnh báo khi bão đổ bộ.

Siêu bão Ragasa gây lở đất ở Philippines, Trung Quốc chạy đua ứng phó thiên tai

Dù không nằm trên đường di chuyển của siêu bão Ragasa, nhưng một số khu vực ở trung tâm đảo Luzon của Philippines đã hứng chịu lở đất do ảnh hưởng từ hoàn lưu bão.

Bão Ragasa đổ bộ: Sân bay Hong Kong đóng cửa, Philippines sơ tán hàng ngàn người

Philippines và Hong Kong đang tăng cường thực hiện các biện pháp khẩn cấp để ứng phó với siêu bão Ragasa dự kiến đổ bộ vào đầu tuần này.

Siêu bão Ragasa thuộc loại 'cực mạnh', vượt qua cả Yagi

Siêu bão Ragasa được Cơ quan Khí tượng Nhật Bản phân loại là bão cực mạnh, mạnh hơn một chút so với Yagi năm 2024, dự báo tối nay đi vào Biển Đông.

Siêu bão Ragasa sắp đổ bộ, Philippines và Đài Loan khẩn trương sơ tán người dân

Philippines và Đài Loan ra lệnh sơ tán người dân đến nơi an toàn trước nguy cơ lũ lụt và sạt lở đất khi siêu bão Ragasa đang tiến gần và mạnh lên.

Bão Ragasa có thể đạt cực đại cấp 17, dự báo thời điểm đi vào Vịnh Bắc Bộ

Bão Ragasa khi vào Biển Đông sẽ mạnh cấp 17, cấp siêu bão (khoảng 220km/h). Dự báo của đài khí tượng Việt Nam và quốc tế khá tương đồng về đường đi của bão tới thời điểm vào Vịnh Bắc Bộ sáng 25/9.

Philippines sơ tán 255.000 người khi siêu bão Man-yi chuẩn bị đổ bộ

Hàng trăm nghìn người được sơ tán khi cơn bão Man-yi đang tiến về phía Philippines đã mạnh lên thành siêu bão, với những cảnh báo về các tác động nghiêm trọng.