
Hãng hàng không Qantas Airways cho biết sân bay quốc tế Hong Kong sẽ tạm dừng mọi chuyến bay chở khách trong 36 giờ kể từ 18h chiều 23/9 đến 6h sáng 25/9 vì siêu bão Ragasa. Người phát ngôn của Cơ quan Quản lý sân bay Hong Kong thông tin thêm họ đang theo dõi sát sao diễn biến của siêu bão Ragasa và bắt đầu chuẩn bị ứng phó.
Đài quan sát Hong Kong dự kiến đưa ra tín hiệu bão thấp nhất vào buổi trưa ngày 22/9 và nâng cấp lên tín hiệu bão cao thứ hai vào đêm cùng ngày từ 20 - 22h.

Theo hãng hàng không Cathay Pacific Airways, họ đang theo dõi chặt chẽ tác động tiềm tàng của cơn bão, dù nhiều chuyến bay của hãng hiện không bị ảnh hưởng, nhưng điều đó có thể thay đổi khi tình hình ngày càng xấu đi.
Trên khắp đặc khu Hong Kong, người dân cũng bắt đầu tích trữ nhu yếu phẩm hàng ngày để đối phó với bão Ragasa. Hàng dài người xếp hàng dài tại các siêu thị, một số sản phẩm như sữa đã bán hết, trong khi rau củ được bán với giá cao gấp 3 lần giá thông thường.
Tại Philippines, hơn 10.000 người phải tiến hành sơ tán và đến trú ẩn tại trường học, trung tâm sơ tán khi mưa lớn và gió giật mạnh từ siêu bão Ragasa tấn công vùng cực bắc của đất nước này. Bão Ragasa dự kiến đổ bộ vào quần đảo Babuyan của Philippines.
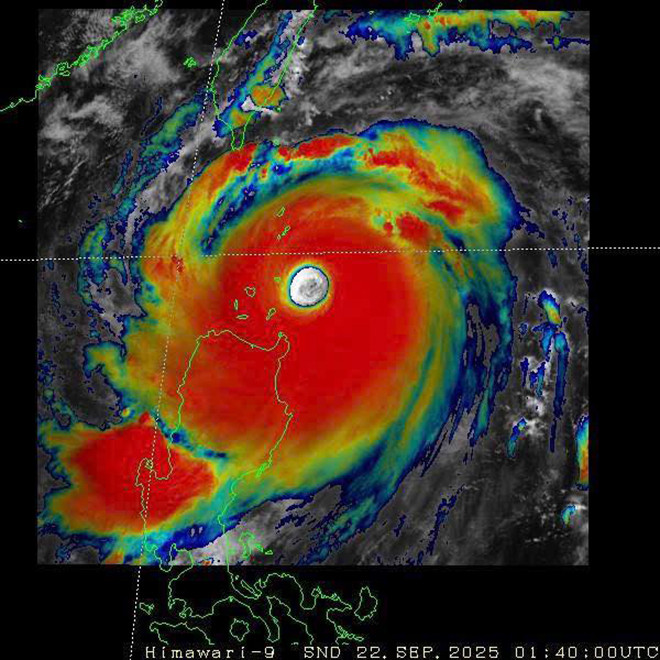
Tính đến 11h ngày 22/9, sức gió mạnh nhất duy trì ở tâm bão là 215km/h, với những cơn gió giật lên tới 265km/h khi bão di chuyển về phía tây hướng tới quần đảo Babuyans.
Ông Rueli Rapsing, người đứng đầu văn phòng cứu trợ thiên tai tỉnh Cagayan nói với AFP rằng nhóm của ông đã chuẩn bị cho "tình huống tồi tệ nhất".
Tổng thống Philippines Ferdinand Marcos thông báo trên Facebook rằng ông đang theo dõi chặt chẽ tình hình và tất cả cơ quan chính phủ đều "trong tình trạng sẵn sàng hỗ trợ bất cứ nơi đâu và bất cứ khi nào cần thiết".
